| COPYRIGHTS |
|
Web scripts
''Virtual breed database''
Copyright ©, 2005-2026 Y.Semenov
All rights reserved.
|
| BANNERS |
|


|
|
 |
????? ???? / Photo by: |
 |
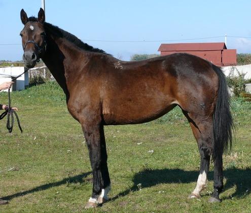
| Sire: |
| OREOL |
| Dame: |
| BRONSA |
| Datebirth: |
| 15.03.2005 | | Sex: |
| Mare | | No pedigree: |
| RUSTR VIII, 477 | | Breed: |
| Rustrakehner | | Color: |
| Dark braun/Bay | | Breeder: |
Stud farm "Kirow stud"
| | Country: |
| Russia | | Offsprings in base: |
0 stallions 0 mares 0 geldings |
|
Bloodline / Tail-family: | Pythagoras / Maska ex Kerstina (RUS Fam.149) |
 | | PEDIGREE |  | | Inbreeding: Pamir: III-V:V-V; Piligrim ex Alpenjäger (RUS N 33): IV:VI-V-VII; Tempelhüter: VII-VIII-VII:VIII; Ararad: VI-VIII-VIII-VIII:VIII-VIII-VIII-VII; Haselhorst: VII-VIII:VIII; Waldjunker: VIII:VIII; Cancara: VI:VIII-VIII; Hyperion: VI-VIII:VIII-VIII; Blesk: III:III; Ossian: VI-VI:VI-VII; Sportliebe: VII:VII-VI; Termit: VII-VII:VII-VII-VIII; Plafon: IV:V; Cyclonic: VI-VIII:VII; Tagor: VII-VIII:VIII; Andrassy: VII:VII; Polarstern: VII:VI; |  | CH RUS 1994, ES , INT CL -SJ- Oreol, RTRK D-BR, 1988, RUS |
CH RUS , ES , INT CL -SJ- , OL CH II-1, USSR CH Espadron, RTRK CH, 1971, RUS |
ES , INT CL -SJ- Pamir, TRK BL, 1958, RUS |
ES Piligrim ex Alpenjäger (RUS N 33), TRK BL, 1943, RUS |
EM Mechanika, TRK CH, 1947, RUS |
ES Epika, RTRK BR, 1966, RUS |
ES Pomeranets, OX CH, 1952, RUS |
EM Emblema I, RTRK D-BR, 1948, RUS |
EM Obitel', RTRK D-BR, 1981, RUS |
ES , INT CL -SJ- , USSR CH Blesk, RTRK BL, 1976, RUS |
ES Eol, RTRK D-BR, 1971, RUS |
EM Bespetschnost', RTRK BL/BR, 1967, RUS |
EM Olcha (RUS Fam N 1374), RTRK D-BR, 1968, RUS |
ES Plafon, XX D-BR, 1960, RUS |
EM Obida, RTRK CH, 1963, RUS |
Bronsa, RTRK BL, 1996, RUS |
ES Bug, RTRK BL, 1985, RUS |
ES , INT CL -SJ- , USSR CH Blesk, RTRK BL, 1976, RUS |
ES Eol, RTRK D-BR, 1971, RUS |
EM Bespetschnost', RTRK BL/BR, 1967, RUS |
EM Gitara, RTRK CH, 1977, RUS |
ES Papirus, RTRK BR, 1968, RUS |
EM Gipotesa, RTRK BL/BR, 1970, RUS |
Ochota, RTRK BL, 1988, RUS |
ES Tarino, TRK BL, 1976, GER |
Elfenspuk, TRK BR, 1972, GER |
Tatarin, TRK BL, 1963, GER |
EM Optika, RTRK BL, 1980, RUS |
ES , INT CL -E- , INT CL -SJ- , USSR CH 1969 Prospekt, RTRK D-BR, 1961, RUS |
EM Ovazija, RTRK BL, 1966, RUS |
|
 | | PHOTOGRAPHIES |  |  Photo by: http://golden-cross.ru/
 ????? ???? / Photo by:
 Photo by: http://golden-cross.ru/
 Photo by: http://golden-cross.ru/
| |  |  | | SIZE |  | | Height: | 167.0 | | Breast volume: | 196.0 | | Wrist: | 21.5 | |
 | | EXPERTS DESCRIPTIONS
|  | |
|
| Last update was 01.03.2016 |
|