| COPYRIGHTS |
|
Web scripts
''Virtual breed database''
Copyright ©, 2005-2026 Y.Semenov
All rights reserved.
|
| BANNERS |
|


|
|
 |
photo by archives RTA |
 |
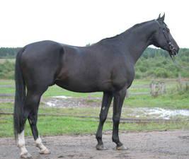
| Sire: |
| HAN BATIJ |
| Dame: |
| VOSPITANNIZA |
| Datebirth: |
| 10.03.2003 | | Sex: |
| Stallion | | No pedigree: |
| RUSTR VII, 533 | | Breed: |
| Rustrakehner | | Color: |
| Black | | Breeder: |
Stud farm "Pallada horse stud farm"
| | Owner: |
Stud farm "Pallada horse stud farm"
| | Country: |
| Russia | | Offsprings in base: |
4 stallions 5 mares 0 geldings | | Comments: |
| Tested & licensed by Russian Trakehner Association 2005: movements 8,07; jumps 7,72. Best 4-y-o stallion at All-Russian Koerung 2007 (II - type & exterior). |
|
Titles: | CH K RUS 2007, ext. ring | Bloodline / Tail-family: | Priboj / Maska ex Kerstina (RUS Fam.149) |
 | | PEDIGREE |  | | Inbreeding: Pomeranets: V:IV; Eifel ex Perkeo (RUS N 62): VI-VII:VII; Pilger: VII-VII-VIII-VII:VII-VI-VII-VIII; Tempelhüter: VIII-VIII:VIII-VIII-VIII-VIII; Pawana (Pavana): IV:III; Welt: V-VI:IV-V; Polarstern: VI-VII-VII-VIII-VIII:V; Astor: VII-VIII:VI-VII-VII; Waldjunker: VIII-VIII:VII; Piligrim ex Alpenjäger (RUS N 33): VI-VI:V; Pythagoras: VII-VII-VII-VII-VIII-VII-VIII-VIII:VI-VI-VI-VIII; Ararad: VIII-VII-VIII-VIII:VII-VI-VII; Ostrjak : V:IV; Sportliebe: VII-VIII:VI; Sportwelt (RUS Fam): VIII-VIII:VII; Termit: VII:VI; Einhard : VI:VI; Hrip: V:IV; Hrisolit: VI-VI:V-V; Wielki Wezyr: VI:V; |  | Han Batij, RTRK BL, 1995, RUS |
INT CL -SJ- Biotop, RTRK BR, 1988, GER |
ES , INT CL -E- , USSR CH Poplin, RTRK BR, 1976, RUS |
CH RUS , ES , INT CL -E- , USSR CH Paket, RTRK R-L, 1960, RUS |
EM Pawana (Pavana), RTRK BL, 1968, UKR |
EM Bogema, RTRK BL, 1977, RUS |
ES Eol, RTRK D-BR, 1971, RUS |
Banduristka, RTRK BR, 1959, RUS |
Hvastun'ja, RTRK D-BR, 1989, RUS |
ES Vensel, RTRK BL, 1981, UKR |
ES , INT CL -SJ- Ekipasch, TRK BL, 1965, RUS |
EM Vistavka (Vystavka), RTRK CH, 1964, RUS |
Hvoja II, RTRK CH, 1974, RUS |
ES Vichr, RTRK CH, 1968, RUS |
Chloptschatka, RTRK D-BR, 1966, RUS |
Vospitanniza, RTRK BR, 1989, RUS |
ES , INT CL -SJ- , USSR CH Almox Prints J ex Prinz, RTRK D-BR, 1981, GER |
ES Hockey (Khockey), RTRK BR, 1973, DNK |
ES Pomeranets, OX CH, 1952, RUS |
EM Hasa, RTRK BR, 1957, RUS |
EM Pawana (Pavana), RTRK BL, 1968, UKR |
ES Welt, TRK BL, 1951, RUS |
EM Pika, RTRK BL, 1951, RUS |
Vdova, RTRK BR, 1976, RUS |
ES Vichodez (Wychodez), RTRK CH, 1970, RUS |
ES , INT CL -D- Hrip, RTRK CH, 1956, RUS |
EM Valjuta, RTRK CH, 1965, RUS |
EM Visovka, RTRK BR, 1967, RUS |
ES , INT CL -SJ- , USSR CH Ostrjak , RTRK D-BR, 1955, RUS |
EM Vest', RTRK CH, 1960, RUS |
|
 | | PHOTOGRAPHIES |  |  Photo by unknown
 photo by Alexia
 photo by Anastasiya Konstantinova, RUS
| |  |  | | SIZE |  | | Height: | 179.0 | | Breast volume: | 200.0 | | Wrist: | 22.5 | |
 | | EXPERTS DESCRIPTIONS
|  | |
|
| Last update was 06.01.2018 |
|