| COPYRIGHTS |
|
Web scripts
''Virtual breed database''
Copyright ©, 2005-2026 Y.Semenov
All rights reserved.
|
| BANNERS |
|


|
|
 |
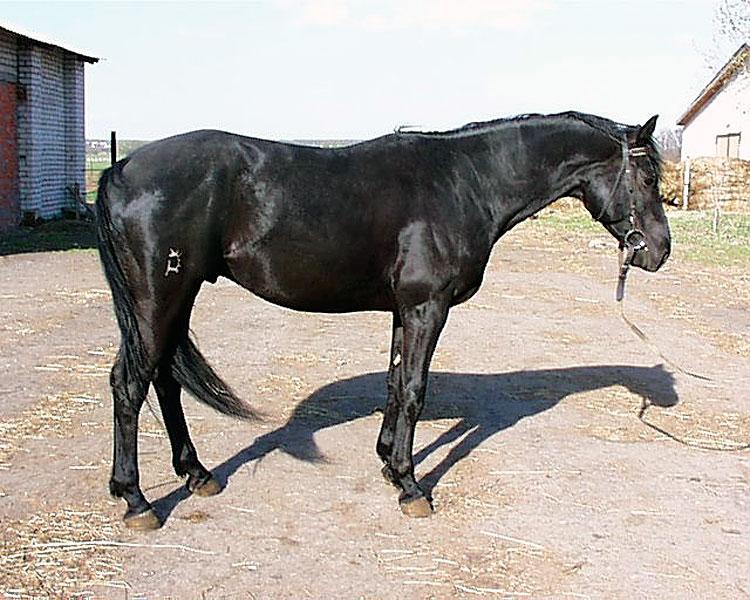
Photo by unknown |
|
Bloodline / Tail-family: | Priboj / Akustika (RUS Fam. N 9) |
 | | PEDIGREE |  | | Inbreeding: Tantal: III:III; Teorema (RUS Fam.№269): IV-V:IV; Dampfross: VII-VII-VIII:VII-VIII-VIII-VII-VIII; Parsival: VIII:VIII-VIII-VIII; Pilger: VI-VII:V-VII; Pythagoras: VI-VIII:VI-VII-V-VII-VIII-VII; Sportliebe: VI:VII; Ararad: VII:VIII-VIII-VIII; Jagdheld: VIII:VII; Polarstern: VIII:VII-VI; |  | Sagon, RTRK BL, 1999, RUS |
ES Granat, RTRK BR, 1986, RUS |
CH RUS , ES , INT CL -SJ- Tantal, RTRK BR, 1967, RUS |
ES Topol, OX BR, 1958, RUS |
EM Teorema (RUS Fam.№269), TRK D-CH, 1952, RUS |
EM Gaza, XX CH, 1981, RUS |
Anilin, XX BR, 1961, RUS |
EM Ganka, XX D-BR, 1967, RUS |
Sella, RTRK BL, 1985, RUS |
ES Eol, RTRK D-BR, 1971, RUS |
ES , INT CL -SJ- , USSR CH Ostrjak , RTRK D-BR, 1955, RUS |
Etel'ka, RTRK BL, 1964, RUS |
EM Zavjaz' (RUS Fam. xx), XX BR, 1974, RUS |
ES Zakaznik, XX CH, 1968, RUS |
Zara, XX BR, RUS |
Purga, RTRK CH, 1992, RUS |
ES Gret ex Goelro, RTRK CH, 1971, LIT |
ES , INT CL -SJ- , USSR CH Etjud, RTRK BL, 1955, RUS |
ES Einhard , TRK D-CH, 1941, RUS |
Hartija, RTRK BR, 1950, RUS |
EM Gretschicha, TRK CH, 1955, RUS |
ES Guido (Quido) (RUS N 13), TRK L-CH, 1937, RUS |
EM Chvoja (RUS Fam N 302), TRK CH, 1947, RUS |
Petarda, RTRK BR, 1988, RUS |
CH RUS , ES , INT CL -SJ- Tantal, RTRK BR, 1967, RUS |
ES Topol, OX BR, 1958, RUS |
EM Teorema (RUS Fam.№269), TRK D-CH, 1952, RUS |
EM Pamjatka, RTRK D-BR, 1974, RUS |
ES Almanach I, RTRK BR, 1962, RUS |
EM Povadka, RTRK BL, 1968, RUS |
|
 | | PHOTOGRAPHIES |  |  пїЅпїЅпїЅпїЅпїЅ пїЅпїЅпїЅпїЅ / Photo by:
| |  |  | | SIZE |  | | Height: | 164.0 | | Breast volume: | unknown | | Wrist: | unknown | |
 | | EXPERTS DESCRIPTIONS
|  | |
|
| Last update was 13.09.2011 |
|