| COPYRIGHTS |
|
Web scripts
''Virtual breed database''
Copyright ©, 2005-2026 Y.Semenov
All rights reserved.
|
| BANNERS |
|


|
|
 |
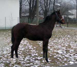
Photo by unknown |
 |
| Sire: |
| ERMITASCH |
| Dame: |
| SEDMA |
| Datebirth: |
| 20.07.2007 | | Sex: |
| Stallion | | Breed: |
| Rustrakehner | | Color: |
| Braun/Bay | | Breeder: |
| Anatolij Janovsky, Slovak Republic | | Owner: |
| Anatolij Janovsky | | Country: |
| Slovak Republic | | Offsprings in base: |
0 stallions 0 mares 0 geldings |
|
Bloodline / Tail-family: | Gainsborough / unknown |
 | | PEDIGREE |  | | Inbreeding: Hyperion (xx): VI:VIII; Gainsborough: VII:VIII-VIII; Tagor: VIII:VII; Cyclonic: VI:VII-VII; Ostrjak : III:IV; Pilger: V-V:VI-VII; Tempelhüter: VII-VIII-VII-VII-VIII:VIII-VIII-VIII-VIII-VIII-VIII; Pythagoras: V-VI:VI-VI-VIII; Dampfross: VI-VII-VII:VII-VIII-VII-VIII; Jagdheld: VII-VII:VIII; Pergola: VIII:VIII; |  | Ermitasch, RTRK BR, 1979, RUS |
Rubin, XX BR, 1973, RUS |
Prognoz, XX BR, 1968, RUS |
Provoke, XX BR, 1962, |
Gvineja, XX D-BR, 1960, RUS |
Reshta, XX BR, 1964, RUS |
ES Steinadler, XX D-BR, 1952, RUS |
Ruda, XX CH, 1954, RUS |
EM Epopeja, RTRK BR, 1968, RUS |
ES , INT CL -SJ- , USSR CH Ostrjak , RTRK D-BR, 1955, RUS |
ES , INT CL -SJ- , USSR CH Ossian, TRK D-BR, 1937, RUS |
EM Sportfreude, TRK D-BR, 1938, RUS |
EM Elektrotechnika, RTRK CH, 1957, RUS |
ES Einhard , TRK D-CH, 1941, RUS |
Horovodniza, RTRK CH, 1948, RUS |
Sedma, RTRK BR, 2001, SVK |
Obvod, RTRK CH, 1974, ITA |
ES Vichodez (Wychodez), RTRK CH, 1970, RUS |
ES , INT CL -D- Hrip, RTRK CH, 1956, RUS |
EM Valjuta, RTRK CH, 1965, RUS |
EM Obida, RTRK CH, 1963, RUS |
ES , INT CL -SJ- Osadok, RTRK BR, 1955, RUS |
Bagrjanaja, RTRK BR, 1958, RUS |
Srha, RTRK BR, 1997, CZE |
ES Eol, RTRK D-BR, 1971, RUS |
ES , INT CL -SJ- , USSR CH Ostrjak , RTRK D-BR, 1955, RUS |
Etel'ka, RTRK BL, 1964, RUS |
Strela, XX D-BR, 1982, SVN |
Scottish Rifle, XX BR, 1969, CZE |
Sevilla, XX , 1972, CZE |
|
 | | PHOTOGRAPHIES |  | | |  |  | | SIZE |  | | Height: | unknown | | Breast volume: | unknown | | Wrist: | unknown | |
 | | EXPERTS DESCRIPTIONS
|  | |
|
| Last update was 24.01.2008 |
|