| COPYRIGHTS |
|
Web scripts
''Virtual breed database''
Copyright ©, 2005-2026 Y.Semenov
All rights reserved.
|
| BANNERS |
|


|
|
 |
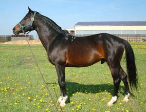
Photo by Shorkina Viktorija |
|
Bloodline / Tail-family: | Ostrjak / Sapadnja (RUS Fam. N118) |
 | | PEDIGREE |  | | Inbreeding: Ostrjak : II:V; Pilger: IV-V:VII-VII; Perfectionist: VII-VII-VIII:VIII-VIII; Pythagoras: IV-VI:V-V-VII; Dampfross: V-VI:VIII-VIII-VI-VII-VI-VIII-VIII-VIII; Jagdheld: VI-VIII:VII; Sportwelt (RUS Fam): V-VII:VIII; Petronella: VIII:VIII; Polarstern: VI:V; Waldjunker: VIII-VIII:VII; Termit: IV:V-VI; Hyperion: V:VII-VI-VIII; Haselhorst: VII:VIII-VII; Cancara: VI:VIII; Master Magpie: VII:VIII; Parsival: VII:VIII-VII-VIII; Pirat: VIII:VIII; |  | ES Eol, RTRK D-BR, 1971, RUS |
ES , INT CL -SJ- , USSR CH Ostrjak , RTRK D-BR, 1955, RUS |
ES , INT CL -SJ- , USSR CH Ossian, TRK D-BR, 1937, RUS |
ES Pilger, TRK BR, 1926, GER |
Ostia, TRK BR, 1933, GER |
EM Sportfreude, TRK D-BR, 1938, RUS |
ES Pythagoras, TRK D-BR, 1927, GER |
Sportliebe, TRK BL, 1932, RUS |
Etel'ka, RTRK BL, 1964, RUS |
ES Ekspromt, RTRK BL/BR, 1955, RUS |
ES Eifel ex Perkeo (RUS N 62), TRK BL/BR, 1939, RUS |
Afischa, RTRK BL/BR, 1949, RUS |
EM Teorema (RUS Fam.№269), TRK D-CH, 1952, RUS |
ES Termit, TRK D-CH, 1933, RUS |
EM Mechanika, TRK CH, 1947, RUS |
Sapoved', RTRK BR, 1979, RUS |
ES Vichodez (Wychodez), RTRK CH, 1970, RUS |
ES , INT CL -D- Hrip, RTRK CH, 1956, RUS |
ES Hrisolit, RTRK CH, 1950, RUS |
Paklja (RUS Fam.№187), TRK BL/BR, 1945, RUS |
EM Valjuta, RTRK CH, 1965, RUS |
ES Welt, TRK BL, 1951, RUS |
Trassa, RTRK CH, 1955, LIT |
EM Sastupniza, RTRK BL, 1975, RUS |
ES , INT CL -E- , INT CL -SJ- Podvig, RTRK BR, 1963, RUS |
ES Piligrim ex Alpenjäger (RUS N 33), TRK BL, 1943, RUS |
EM Data, RTRK CH, 1952, RUS |
EM Saponka, RTRK BL, 1971, RUS |
ES Plafon, XX D-BR, 1960, RUS |
Soluschka, RTRK D-BR, 1966, RUS |
|
 | | PHOTOGRAPHIES |  | | |  |  | | SIZE |  | | Height: | 160.0 | | Breast volume: | 183.0 | | Wrist: | 22.0 | |
 | | EXPERTS DESCRIPTIONS
|  | |
|
| Last update was 25.02.2010 |
|