| COPYRIGHTS |
|
Web scripts
''Virtual breed database''
Copyright ©, 2005-2026 Y.Semenov
All rights reserved.
|
| BANNERS |
|


|
|
 |
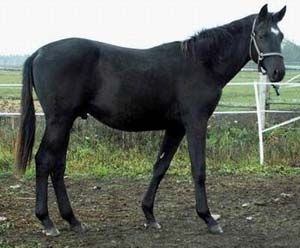
Photo by Renate Kaupmees |
|
Bloodline / Tail-family: | Ostrjak / unknown |
 | | PEDIGREE |  | | Inbreeding: Ostrjak : IV:IV; Tempelhüter: VIII-VIII-VIII-VIII-VIII-VIII:VIII-VIII; Pythagoras: VI-VIII-VIII-VIII:VI-VII; Dampfross: VII-VIII-VIII-VIII-VII:VII-VIII; Ararad: VII:VII-VIII-VIII; Polarstern: VIII-VII-VIII-VIII:VII-V-VIII-VIII; Hrisolit: IV-VI:V; Armada: VIII:VIII; Welt: VI:IV-V; Hirtensang: VIII:VII; Piligrim ex Alpenjäger (RUS N 33): VII:VI-V-VII; Hurry On: VIII:VIII; Tagor: VIII:VIII; Obida: V:V; |  | ES , INT CL -SJ- , CH EST Heops, RTRK D-BR, 1994, EST |
ES , INT CL -SJ- , USSR CH 1987 - II Herson (Cherson), RTRK D-BR, 1978, RUS |
ES Eol, RTRK D-BR, 1971, RUS |
ES , INT CL -SJ- , USSR CH Ostrjak , RTRK D-BR, 1955, RUS |
Etel'ka, RTRK BL, 1964, RUS |
EM Hasa, RTRK BR, 1957, RUS |
ES Hrisolit, RTRK CH, 1950, RUS |
EM Sapadnja (RUS Fam. N118), RTRK D-BR, 1951, RUS |
EM Olimpiada, RTRK BR, 1990, RUS |
ES Pavitsch, RTRK BR, 1984, RUS |
ES , INT CL -E- Vek, RTRK BR, 1976, RUS |
EM Pavlinka, RTRK D-BR, 1975, RUS |
Okruga, RTRK BR, 1972, RUS |
ES Almanach I, RTRK BR, 1962, RUS |
EM Olcha (RUS Fam N 1374), RTRK D-BR, 1968, RUS |
Patricia (Patrizija), RTRK BL, 1997, EST |
ES , INT CL -SJ- Poroch (Poroh), RTRK BR, 1981, EST |
ES , INT CL -SJ- Hosjain, RTRK BL, 1973, RUS |
ES , INT CL -SJ- , USSR CH Ostrjak , RTRK D-BR, 1955, RUS |
EM Hlopotun'ja (RUS Fam.N310), RTRK BR, 1957, RUS |
EM Pokljovka, RTRK D-BR, 1971, UKR |
ES Welt, TRK BL, 1951, RUS |
EM Prichot', RTRK BR, 1963, RUS |
Priima (Prima), RTRK BR, 1982, EST |
Pariis (Parizh), XX BL, 1974, EST |
Aktash, XX BR, 1964, RUS |
Pedal, XX CH, 1961, UKR |
Piona, RTRK BR, 1978, EST |
ES Obval, RTRK BR, 1967, EST |
Piga (Piiga), RTRK BL, 1971, EST |
|
 | | PHOTOGRAPHIES |  | | |  |  | | SIZE |  | | Height: | unknown | | Breast volume: | unknown | | Wrist: | unknown | |
 | | EXPERTS DESCRIPTIONS
|  | |
|
| Last update was 06.01.2008 |
|