| COPYRIGHTS |
|
Web scripts
''Virtual breed database''
Copyright ©, 2005-2026 Y.Semenov
All rights reserved.
|
| BANNERS |
|


|
|
 |
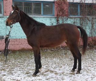
Photo by unknown |
 |
| Sire: |
| STICH |
| Dame: |
| GETERA |
| Datebirth: |
| 00.00.2009 | | Sex: |
| Mare | | Breed: |
| Rustrakehner | | Color: |
| Braun/Bay | | Breeder: |
Stud farm "Dovator stud"
| | Country: |
| Belorussia | | Offsprings in base: |
0 stallions 1 mares 0 geldings |
|
Bloodline / Tail-family: | Kupferhammer / Elka (Jolka) ex Tarantella |
 | | PEDIGREE |  | | Inbreeding: Kupferhammer: VIII:VIII; Parsival: VIII:VII; Cancara: VI:VI; Hypothese: VII:VIII; Profil: V:VI; Priboj: VI:VI-VII-VII; Polarstern: VII-VIII-VI:VIII; Eskadron: V:VI; Einhard : VI-VII:VII; Pythagoras: VIII-VIII-VII-VI:VI-VII-VII-VII; Hirtensang: VIII:VI-VIII; Ostrjak : V:IV-V; Ararad: VIII-VII-VII:VII-VIII-VIII-VIII; Hochot: VI:VI; Pompej: IV:V; Tempelhüter: VIII-VII:VII-VIII-VIII-VIII-VIII; Jagdheld: VIII-VIII:VIII; Pola: VII-VIII:VIII; Belizar: V:VII; |  | CH T RUS 1998 Stich, RTRK CH, 1996, BLR |
Havbek, RTRK D-CH, 1991, POL |
INT CL -D- Knecht, RTRK CH, 1977, BLR |
ES , INT CL -SJ- Hitin, RTRK CH, 1955, RUS |
Kapitel (RUS FAM № 422), RTRK CH, 1971, BLR |
EM Hota, RTRK CH, 1985, BLR |
ES , INT CL -SJ- Oreol, RTRK BL/BR, 1975, BLR |
Hochlatka, RTRK D-BR, 1969, RUS |
EM Strada, RTRK CH, 1978, BLR |
ES Diapason, RTRK BL, 1969, RUS |
ES Pompej, RTRK BL, 1956, RUS |
Dewotka, TRK BL/BR, 1960, RUS |
EM Simfonija, RTRK CH, 1968, BLR |
Fil'm, XX BR, 1958, BLR |
Strefa, TRK CH, 1962, BLR |
Getera, RTRK BR, 1998, BLR |
ES , INT CL -SJ- Efir, RTRK BR, 1982, RUS |
ES Falstaff, TRK GR, 1968, GER |
Altgesell (II), TRK GR, 1941, GER |
EM Faschingsfest, TRK GR, 1948, GER |
EM Ekonomka, RTRK BR, 1972, RUS |
ES , INT CL -SJ- , USSR CH Ostrjak , RTRK D-BR, 1955, RUS |
ES Epika, RTRK BR, 1966, RUS |
Gida, RTRK BR, 1995, BLR |
ES , INT CL -D- , CH BEL Dragun, RTRK BL, 1981, BLR |
ES , INT CL -E- , USSR CH 1977 Galop, RTRK BL, 1967, BLR |
EM Dosada, RTRK L-BR, 1976, BLR |
Gapija, RTRK CH, 1987, BLR |
Platan, OX BR, 1971, LVA |
EM Govorucha, RTRK BR, 1979, LVA |
|
 | | PHOTOGRAPHIES |  |  ����� ���� / Photo by:
| |  |  | | SIZE |  | | Height: | 164.0 | | Breast volume: | 190.0 | | Wrist: | 20.5 | |
 | | EXPERTS DESCRIPTIONS
|  | |
|
| Last update was 08.11.2020 |
|