| COPYRIGHTS |
|
Web scripts
''Virtual breed database''
Copyright ©, 2005-2026 Y.Semenov
All rights reserved.
|
| BANNERS |
|


|
|
 |
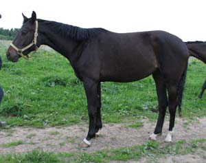
photo by Elena Werdenberg, CHE |
|
Линия / Семейство: | Eifel ex Perkeo (RUS N 62) / Meduza |
 | | РОДОСЛОВНАЯ |  | | Инбридинг: Eifel ex Perkeo (RUS N 62): VII-VIII-VI:VII; Pilger: VIII-VI-VII-VI-VII-VII:VII-VIII-VIII-VII-VIII-VI-VIII-VIII-VI; Albergo: VIII:VIII; Huryska: VIII:VIII; Einhard : VIII-V:VI-V; Hrisolit: VII-VII:VI; Polarstern: VIII-VII-VII-VIII:VII-VII-VIII; Karta ex Turia (RUS Fam. №127): VII:VI; Piligrim ex Alpenjäger (RUS N 33): VII:VI; Pythagoras: VIII-VI-VII-VII-VII-VIII-VIII:VII-VIII-VIII-VII-VI-VIII; Ostrjak : IV:V-IV; Ossian: V-VI:VI; Tempelhüter: VIII-VIII-VIII-VIII-VIII-VIII:VIII-VIII-VII; Dampfross: VII-VIII-VIII-VIII:VIII-VIII-VIII-VIII-VIII-VIII; Ararad: VII-VIII:VIII-VIII-VII; Jagdheld: VIII-VIII:VIII-VIII; Hyperion: VII:VIII-VII-VIII; Hypothese: VIII-VIII:VIII-VIII; Einzahl: VI:VII-VII; Parsival: VIII:VIII; Hassgesang: VII:VI; Cyclonic: VIII:VII; Akcjonariusz: VII:V; |  | Sietl, RTRK BR, 1999, RUS |
Ekvus, RTRK BR, 1994, RUS |
ES Verstovoj, RTRK BR, 1989, RUS |
ES , INT CL -D- Vichr', RTRK CH, 1984, RUS |
EM Varna, RTRK BR, 1976, RUS |
EM Ekonomka, RTRK BR, 1972, RUS |
ES , INT CL -SJ- , USSR CH Ostrjak , RTRK D-BR, 1955, RUS |
ES Epika, RTRK BR, 1966, RUS |
EM Sokolka, RTRK BL, 1986, RUS |
ES , INT CL -SJ- Oreol, RTRK BL/BR, 1975, BLR |
ES , INT CL -SJ- Eskadron, RTRK R-L, 1957, RUS |
EM Opeka, RTRK CH, 1967, RUS |
EM Schisma, RTRK BR, 1982, RUS |
ES , INT CL -SJ- Hog, RTRK BR, 1965, BLR |
EM Sekvoija, RTRK D-BR, 1974, BLR |
EM Marichuana, RTRK BL, 1988, RUS |
ES Hrom ex Hrip, RTRK BL, 1983, RUS |
ES Holl, RTRK BL, 1976, RUS |
ES Eol, RTRK D-BR, 1971, RUS |
EM Hosjaika, RTRK CH, 1963, RUS |
EM Pervaja, RTRK BL, 1973, RUS |
ES , INT CL -SJ- , USSR CH Etjud, RTRK BL, 1955, RUS |
EM Pachra, RTRK CH, 1968, RUS |
EM Miss Meri, RTRK D-BR, 1985, RUS |
ES , INT CL -SJ- Obelisk, RTRK D-BR, 1965, RUS |
ES , INT CL -SJ- , USSR CH Ostrjak , RTRK D-BR, 1955, RUS |
Barchatka, RTRK CH, 1958, RUS |
Markisa, RTRK BR, 1972, LVA |
ES Absolwent, TRK BL, 1960, RUS |
Matilda, RTRK BL, 1967, RUS |
|
 | | ФОТОГРАФИИ |  | | |  |  | | ПРОМЕРЫ |  | | Рост: | 162.0 | | Обхват груди: | 204.0 | | Обхват пясти: | 21.0 | |
 | | ОПИСАНИЯ ЭКСПЕРТОВ |  | |
|
| Последнее обновление данных 31.12.2009 |
|