| COPYRIGHTS |
|
Web scripts
''Virtual breed database''
Copyright ©, 2005-2026 Y.Semenov
All rights reserved.
|
| BANNERS |
|


|
|
 |
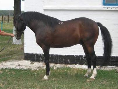
????? ???? / Photo by: Elena Mikheeva, RUS |
 |
| Отец: |
| BICH (BITCH) |
| Мать: |
| EKSEDRA |
| Дата рождения: |
| 00.00.1986 | | Пол: |
| Жеребец | | № тавро / чип: |
| 49 | | No родословной: |
| RUS BUD 891; RUS BUD IX, p. 13 | | Порода: |
| Budyonny | | Масть: |
| Гнедая | | Заводчик: |
Хозяйство "1st Horse Army stud"
| | Владелец: |
Хозяйство "1st Horse Army stud"
| | Страна: |
| Russia | | Потомков в базе: |
0 жеребцов 1 кобыл 0 меринов |
|
Линия / Семейство: | Brimston / неизв. |
 | | РОДОСЛОВНАЯ |  | | Инбридинг: Beskarny: IV:VII; Granit II: VI:VI; Hurry On: VII:VI; |  | Bich (Bitch), BUD CH, 1981, RUS |
Barij, BUD CH, 1965, RUS |
Bulat, BUD CH, 1946, RUS |
Beskarny, XX CH, 1925, RUS |
неизв., , |
Istothnitsa, BUD CH, 1953, RUS |
неизв., , |
неизв., , |
Iva, BUD CH, 1975, RUS |
Inej, BUD CH, 1959, RUS |
Zapros, XX CH, 1950, RUS |
Bestarka, BUD CH, 1944, RUS |
Vantuza, BUD CH, 1970, RUS |
Vampir, BUD CH, 1961, RUS |
Zavesa, BUD CH, 1961, RUS |
Eksedra, BUD BR, 1980, RUS |
Egoist, BUD BL/BR, 1966, RUS |
Effekt, XX BR, 1959, RUS |
ES Faktotum, XX BR, 1952, RUS |
Egina, XX CH, 1950, RUS |
Grozd', BUD CH, 1959, RUS |
Galop III, XX CH, 1946, RUS |
Das-Bukh, WB CH, 1947, RUS |
Kalibrovka, BUD BR, 1974, RUS |
Kapron, BUD CH, 1963, RUS |
Kapor, BUD CH, 1953, RUS |
Rubrika, BUD CH, 1955, RUS |
неизв., , |
неизв., , |
неизв., , |
|
 | | ФОТОГРАФИИ |  | | |  |  | | ПРОМЕРЫ |  | | Рост: | неизв. | | Обхват груди: | неизв. | | Обхват пясти: | неизв. | |
 | | ОПИСАНИЯ ЭКСПЕРТОВ |  | |
|
| Последнее обновление данных 17.12.2011 |
|