| COPYRIGHTS |
|
Web scripts
''Virtual breed database''
Copyright ©, 2005-2026 Y.Semenov
All rights reserved.
|
| BANNERS |
|


|
|
 |
пїЅпїЅпїЅпїЅпїЅ пїЅпїЅпїЅпїЅ / Photo by: private archives, RUS |
 |
| Sire: |
| MONS |
| Dame: |
| KARMEN |
| Datebirth: |
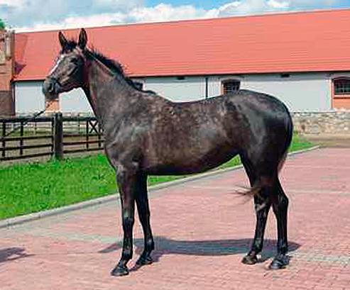
| 31.05.2007 | | Sex: |
| Mare | | № brand/chip: |
| 9 | | No pedigree: |
| RUSTR VIII, 454 | | Breed: |
| Rustrakehner | | Color: |
| Gray | | Breeder: |
Stud farm "Veedern horse stud"
| | Country: |
| Russia | | Offsprings in base: |
0 stallions 0 mares 0 geldings | | Comments: |
| Color - Red-Grey. |
|
Bloodline / Tail-family: | Ostrjak / unknown |
 | | PEDIGREE |  | | Inbreeding: Pomeranets: IV:VII-VIII; Priboj: V:VIII-VIII-VII-VII; Nureddin II: VIII:VIII; Rissla: VII:VII; Mammona (RASB Fam. N 74 ox): V:VII-VIII-VIII; |  | ES , INT CL -SJ- Mons, RTRK GR, 1988, RUS |
ES , INT CL -SJ- Mramor, RTRK BR, 1975, RUS |
ES , INT CL -SJ- , USSR CH Ostrjak , RTRK D-BR, 1955, RUS |
ES , INT CL -SJ- , USSR CH Ossian, TRK D-BR, 1937, RUS |
EM Sportfreude, TRK D-BR, 1938, RUS |
EM Monopolija, RTRK CH, 1966, RUS |
ES Pomeranets, OX CH, 1952, RUS |
EM Molodost' (RUS Fam. N154), RTRK BR, 1954, RUS |
Orscha, RTRK GR, 1982, RUS |
ES Falstaff, TRK GR, 1968, GER |
Altgesell (II), TRK GR, 1941, GER |
EM Faschingsfest, TRK GR, 1948, GER |
Okruga, RTRK BR, 1972, RUS |
ES Almanach I, RTRK BR, 1962, RUS |
EM Olcha (RUS Fam N 1374), RTRK D-BR, 1968, RUS |
Karmen, OX R-L, 2003, RUS |
Mayssam, OX GR, 1999, |
Carnac, OX , 1987, |
Nrav (Narav Ibn Aswan), OX GR, 1978, GER |
Deccana, OX GR, 1983, |
Mayassah, OX , 1994, |
Pokras, OX BR, 2011, RUS |
Anezieh, OX , 1989, |
Kleopatra, OX GR, 1994, RUS |
Charmer, OX GR, 1984, RUS |
Numizmat, OX CH, 1974, RUS |
Princessa, OX GR, 1973, RUS |
Bright and Breezy, OX , 1989, RUS |
Kactus, OX GR, 1975, |
Brighten Up, OX , 1981, |
|
 | | PHOTOGRAPHIES |  | | |  |  | | SIZE |  | | Height: | 157.0 | | Breast volume: | 178.0 | | Wrist: | 20.0 | |
 | | EXPERTS DESCRIPTIONS
|  | |
|
| Last update was 28.10.2015 |
|