| COPYRIGHTS |
|
Web scripts
''Virtual breed database''
Copyright ©, 2005-2026 Y.Semenov
All rights reserved.
|
| BANNERS |
|


|
|
 |
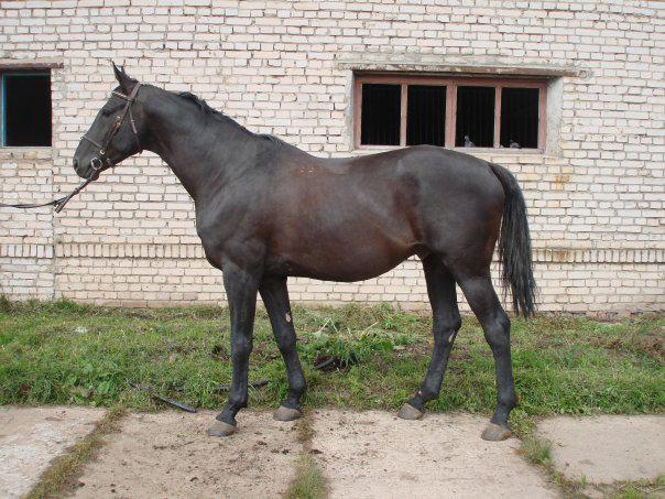
Photo by: private archive |
 |
| Отец: |
| GONG |
| Мать: |
| KOMPOSIZIJA |
| Дата рождения: |
| 07.04.2002 | | Пол: |
| Жеребец | | No родословной: |
| RUS HANN II, p. 373; RUS TR VII, p. 456 | | Порода: |
| Hannoverian | | Масть: |
| Вороная | | Заводчик: |
Хозяйство "Gardarika KSK stud farm"
| | Владелец: |
Хозяйство "Gardarika KSK stud farm"
| | Страна: |
| Russia | | Потомков в базе: |
0 жеребцов 1 кобыл 0 меринов |
|
Линия / Семейство: | Goldschlaeger I / неизв. |
 | | РОДОСЛОВНАЯ |  | | Инбридинг: Hyperion (xx): VIII:VIII-VIII-VIII-VIII; Granit II: VII:VII-VIII; |  | Gong, HANN BR, 1990, RUS |
Goldfisch, HANN CH, 1973, RUS |
Gjunter (Guenther), HANN CH, 1953, RUS |
Grenadier, HANN BR, 1941, GER |
GvPrM Adriaperle, HANN , 1944, |
Feldranke, HANN CH, 1945, GER |
Feldjaeger, HANN CH, 1939, GER |
Flugkunst VII, HANN CH, 1935, GER |
Gidra, HANN BL, 1982, RUS |
Gelij, HANN CH, 1965, RUS |
Gjunter (Guenther), HANN CH, 1953, RUS |
Elfenvacht, HANN CH, 1959, RUS |
Ivolga, HANN BL, 1973, RUS |
Iordan, XX BR, 1964, RUS |
Forma, HANN CH, 1965, RUS |
Komposizija, RTRK BL/BR, 1997, RUS |
Kapris, RTRK D-BR, 1988, RUS |
ES Kolos, XX BL/BR, 1973, RUS |
Kontakt, XX CH, 1967, RUS |
Stanitsa, XX BR, 1966, RUS |
Pastuschka, RTRK CH, 1976, RUS |
ES Singapur, XX CH, 1967, RUS |
EM Pokljovka, RTRK D-BR, 1971, UKR |
Sulfija, RTRK D-BR, 1976, RUS |
ES Ef, XX D-BR, 1963, RUS |
ES Faktotum, XX BR, 1952, RUS |
EM Estetika, XX BL/BR, 1950, RUS |
Sarniza, RTRK BL, 1967, RUS |
ES Nargil', TRK BL, 1962, RUS |
EM Zakala, RTRK BL/BR, 1966, RUS |
|
 | | ФОТОГРАФИИ |  | | |  |  | | ПРОМЕРЫ |  | | Рост: | неизв. | | Обхват груди: | неизв. | | Обхват пясти: | неизв. | |
 | | ОПИСАНИЯ ЭКСПЕРТОВ |  | |
|
| Последнее обновление данных 04.11.2019 |
|