| COPYRIGHTS |
|
Web scripts
''Virtual breed database''
Copyright ©, 2005-2026 Y.Semenov
All rights reserved.
|
| BANNERS |
|


|
|
 |
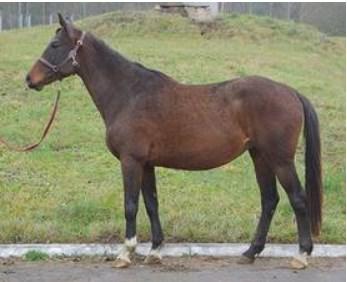
����� ���� / Photo by: |
|
Bloodline / Tail-family: | Ostrjak / Persona (RUS Fam. N 198) |
 | | PEDIGREE |  | | Inbreeding: Ostrjak : II:V; Ossian: III:VI-VII; Pilger: IV-V-VI-VIII:VII-VII-VIII; Tempelhüter: VI-VII-VI-VII-VIII-VIII-VII:VIII-VIII; Isinglass: VIII:VIII; Pythagoras: IV-VI-VI:VII-VII-VII-VIII-VIII; Ararad: V-VII:VIII-VIII-VIII; Celsius: IV:VII; Piligrim ex Alpenjäger (RUS N 33): V:VI; Dark Ronald: VIII:VIII-VIII; Aversion: VIII:VIII; Einhard : IV:VI; Sunstar: VIII:VIII; |  | ES , INT CL -SJ- Ekvator, RTRK D-BR, 1976, BLR |
ES , INT CL -SJ- , USSR CH Ostrjak , RTRK D-BR, 1955, RUS |
ES , INT CL -SJ- , USSR CH Ossian, TRK D-BR, 1937, RUS |
ES Pilger, TRK BR, 1926, GER |
Ostia, TRK BR, 1933, GER |
EM Sportfreude, TRK D-BR, 1938, RUS |
ES Pythagoras, TRK D-BR, 1927, GER |
Sportliebe, TRK BL, 1932, RUS |
EM Ekspansija I, RTRK BR, 1969, RUS |
ES Pastoral, TRK BR, 1960, RUS |
Celsius, TRK CH, 1943, POL |
Pastoral`, RTRK BL/BR, 1951, RUS |
Estetika, RTRK BR, 1955, RUS |
ES Einhard , TRK D-CH, 1941, RUS |
Emal II, RTRK BR, 1950, RUS |
Panfa (Professija), RTRK BL, 1997, BLR |
INT CL -E- Fakt, XX BR, 1980, BLR |
Aktash, XX BR, 1964, RUS |
ES Steinadler, XX D-BR, 1952, RUS |
Ambiciya, XX CH, 1954, RUS |
Flora, XX D-BR, 1959, RUS |
Ranzhir, XX CH, 1947, UKR |
Fiel' ex Edelfalkin (RUS Fam. TB №1602), XX BR, 1944, GER |
Panda, RTRK BL, 1989, BLR |
ES , INT CL -D- , CH BEL Dragun, RTRK BL, 1981, BLR |
ES , INT CL -E- , USSR CH 1977 Galop, RTRK BL, 1967, BLR |
EM Dosada, RTRK L-BR, 1976, BLR |
Posnan', RTRK BR, 1984, BLR |
ES , INT CL -SJ- Oreol, RTRK BL/BR, 1975, BLR |
EM Perspektiva ex Planeta II, RTRK BR, 1972, MDA |
|
 | | PHOTOGRAPHIES |  | | |  |  | | SIZE |  | | Height: | 165.0 | | Breast volume: | 195.0 | | Wrist: | 21.0 | |
 | | EXPERTS DESCRIPTIONS
|  | |
|
| Last update was 04.01.2016 |
|