| COPYRIGHTS |
|
Web scripts
''Virtual breed database''
Copyright ©, 2005-2026 Y.Semenov
All rights reserved.
|
| BANNERS |
|


|
|
 |
archives of prokoni.ru |
 |
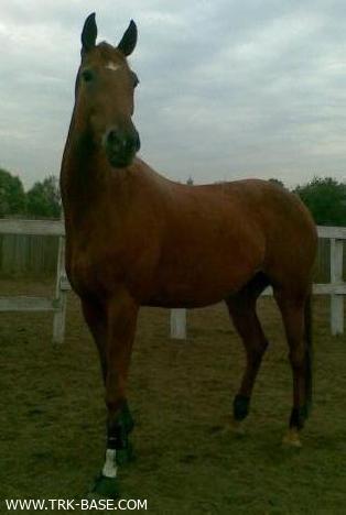
| Отец: |
| BAYLYK (BAYLIK) |
| Мать: |
| GLOCHITA |
| Дата рождения: |
| 28.01.2002 | | Пол: |
| Кобыла | | No родословной: |
| RUSTR VIII, 209 | | Порода: |
| Rustrakehner | | Масть: |
| Рыжая | | Заводчик: |
| Golovnitsy firm | | Владелец: |
| private owner | | Страна: |
| Russia | | Адрес: |
| Moscow region | | Телефон: |
| + 7 926 303 62 73 Evgenija | | Потомков в базе: |
0 жеребцов 0 кобыл 0 меринов | | Комментарии: |
| Dressage & show-jumping L.
2007: 3rd - Winter Cup of Ramenskij hippodrome (110 cm); 5th - Moscow Championship (110 cm). |
|
Линия / Семейство: | Nearco / Hochotun'ja ex Herrscherin (RUS FAM N 325) |
 | | РОДОСЛОВНАЯ |  | Baylyk (Baylik), XX D-BR, 1989, BLR |
Mayo, XX , 1982, IRL |
Yankee Gold, XX GR, 1972, GBR |
Lord Gayle, XX D-BR, 1965, USA |
Ceol An Oir, XX GR, 1961, IRL |
Moana, XX BR, 1959, GBR |
Zucchero, XX BR, 1948, GBR |
Gambade, XX BR, 1951, GBR |
Bernina, XX CH, 1975, RUS |
ES Rigoletto, XX CH, 1968, RUS |
Gay Warrior II, XX CH, 1959, RUS |
Reklama, XX BR, 1961, RUS |
Bronkha, XX BR, 1961, UKR |
Khar'kov, XX GR, 1950, UKR |
Bravada, XX BR, 1950, RUS |
Glochita, RTRK L-BR, 1989, BLR |
ES Halif (Chalif), RTRK GR, 1981, RUS |
ES Falstaff, TRK GR, 1968, GER |
Altgesell (II), TRK GR, 1941, GER |
EM Faschingsfest, TRK GR, 1948, GER |
EM Hloja, RTRK BR, 1975, RUS |
ES , INT CL -SJ- , USSR CH Ostrjak , RTRK D-BR, 1955, RUS |
EM Hlopotun'ja (RUS Fam.N310), RTRK BR, 1957, RUS |
Gost'ja, RTRK GR, 1981, BLR |
ES , INT CL -SJ- Siluet II, RTRK BL, 1971, RUS |
ES , INT CL -SJ- , USSR CH Etjud, RTRK BL, 1955, RUS |
Skaska, RTRK BR, 1952, RUS |
EM Glava, RTRK GR, 1977, BLR |
ES Lak, OX GR, 1960, BLR |
EM , INT CL -E- , USSR CH Geroinja, RTRK CH, 1957, RUS |
|
 | | ФОТОГРАФИИ |  |  archives of prokoni.ru
| |  |  | | ПРОМЕРЫ |  | | Рост: | неизв. | | Обхват груди: | неизв. | | Обхват пясти: | неизв. | |
 | | ОПИСАНИЯ ЭКСПЕРТОВ |  | |
|
| Последнее обновление данных 29.10.2015 |
|