| COPYRIGHTS |
|
Web scripts
''Virtual breed database''
Copyright ©, 2005-2026 Y.Semenov
All rights reserved.
|
| BANNERS |
|


|
|
 |
????? ???? / Photo by: |
 |
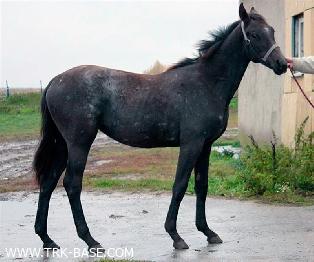
| Отец: |
| SAK |
| Мать: |
| PROVISIJA |
| Дата рождения: |
| 05.02.2000 | | Пол: |
| Кобыла | | No родословной: |
| RUS TR VII, p. 301 | | Порода: |
| Rustrakehner | | Масть: |
| Рыжая | | Заводчик: |
| Nikonchuk V., Retchitskij SHT stud farm, Gomel' region, Retchitskij district, Belarus' | | Владелец: |
| Titov Vsevolod Sergeevitch | | Страна: |
| Russia | | E-mail: |
| coolsv@mail.ru | | Потомков в базе: |
0 жеребцов 1 кобыл 0 меринов | | Комментарии: |
| Sold to V.S. Titov 10.X.2006. |
|
 | | ПОТОМКИ |  | |
|