| COPYRIGHTS |
|
Web scripts
''Virtual breed database''
Copyright ©, 2005-2026 Y.Semenov
All rights reserved.
|
| BANNERS |
|


|
|
 |
пїЅпїЅпїЅпїЅпїЅ пїЅпїЅпїЅпїЅ / Photo by: |
|
Линия / Семейство: | Pilger / неизв. |
 | | РОДОСЛОВНАЯ |  | | Инбридинг: Priboj: V:V; Bakszysz: VIII-VIII:VIII; Selima: VIII:VIII-VIII; Dziwa (RASB Fam. N 20 ox): VII:VII; Farys II: VII:VIII; |  | ES Ogon', RTRK CH, 1991, RUS |
ES Gret ex Goelro, RTRK CH, 1971, LIT |
ES , INT CL -SJ- , USSR CH Etjud, RTRK BL, 1955, RUS |
ES Einhard , TRK D-CH, 1941, RUS |
Hartija, RTRK BR, 1950, RUS |
EM Gretschicha, TRK CH, 1955, RUS |
ES Guido (Quido) (RUS N 13), TRK L-CH, 1937, RUS |
EM Chvoja (RUS Fam N 302), TRK CH, 1947, RUS |
EM Opara, RTRK CH, 1979, RUS |
CH RUS , ES , INT CL -E- , USSR CH Paket, RTRK R-L, 1960, RUS |
ES Pomeranets, OX CH, 1952, RUS |
EM Emblema I, RTRK D-BR, 1948, RUS |
EM Olcha (RUS Fam N 1374), RTRK D-BR, 1968, RUS |
ES Plafon, XX D-BR, 1960, RUS |
EM Obida, RTRK CH, 1963, RUS |
Vnesapnaja, HANN CH, 1989, RUS |
Vandal, HANN D-BR, 1979, RUS |
INT CL -D- Walerik, HANN BR, 1963, RUS |
Weingau, HANN BR, 1954, |
Elfenwache, HANN BR, 1956, GER |
Dekada, HANN BR, 1965, RUS |
Duo, HANN D-BR, 1954, RUS |
Demagogin, HANN CH, 1956, GER |
Parfija, HANN BR, 1977, RUS |
Prizrak, OX GR, 1970, RUS |
Kankan, OX GR, 1954, RUS |
Ptashka, OX BR, 1953, RUS |
Fistaschka II, HANN BR, 1972, RUS |
Fosfor, HANN CH, 1965, RUS |
Schwertroschen, HANN BR, 1960, RUS |
|
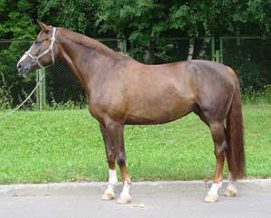
 | | ФОТОГРАФИИ |  |  ????? ???? / Photo by:
| |  |  | | ПРОМЕРЫ |  | | Рост: | 170.0 | | Обхват груди: | неизв. | | Обхват пясти: | неизв. | |
 | | ОПИСАНИЯ ЭКСПЕРТОВ |  | |
|
| Последнее обновление данных 23.02.2011 |
|