| COPYRIGHTS |
|
Web scripts
''Virtual breed database''
Copyright ©, 2005-2026 Y.Semenov
All rights reserved.
|
| BANNERS |
|


|
|
 |
пїЅпїЅпїЅпїЅпїЅ пїЅпїЅпїЅпїЅ / Photo by: |
 |
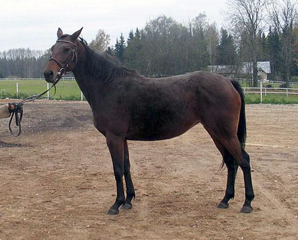
| Sire: |
| FAS |
| Dame: |
| ZAMELA (SAMELA) |
| Datebirth: |
| 10.04.1997 | | Sex: |
| Mare | | No pedigree: |
| RUSTR VII, 249 | | Breed: |
| Rustrakehner | | Color: |
| Braun/Bay | | Breeder: |
| Piia Vilu | | Country: |
| Estonia | | Offsprings in base: |
0 stallions 0 mares 0 geldings |
|
Bloodline / Tail-family: | Fair Trial / Sapadnja (RUS Fam. N118) |
 | | PEDIGREE |  | | Inbreeding: Ivory Tower (Livan): III:V; Fair Trial: V-VI:VII; Fairway: VI-VIII:VIII; Epinard: VII:VII; Captain Cuttle: VII:VIII; Hurry On: VIII-VII:VIII-VII; Granit II: V:VII-VII; Tagor: VI-VII:VIII-VII-VIII-VII; Sirocco: VII:VIII-VIII; Brimston: VII:VIII; Blandford: VIII-VIII-VII:VIII; Massine: VII:VIII; Agregat ex Arado: VI:VI; Trade Wind: VII:VIII; |  | Fas, XX BR, 1985, EST |
Fram, XX BR, 1970, RUS |
Ivory Tower (Livan), XX CH, 1959, RUS |
Luminary, XX CH, 1946, GBR |
Winmarleigh, XX BR, 1943, GBR |
Figura, XX CH, 1955, RUS |
Grog II, XX CH, 1946, RUS |
Fortuna III, XX CH, 1947, RUS |
Astarta, XX BR, 1979, RUS |
Athens Wood, XX BR, 1968, RUS |
Celtic Ash, XX CH, 1957, JPN |
Belle of Athens, XX BR, 1962, GBR |
Ankara, XX BR, 1967, |
Balto (Bal'to), XX BR, 1958, RUS |
Aeronavtika, XX BR, 1962, RUS |
Zamela (Samela), RTRK BR, 1993, EST |
Osman, XX BR, 1982, EST |
ES Stoik, XX BR, 1975, RUS |
ES Sayan, XX CH, 1968, RUS |
Stoykaya, XX BR, 1970, RUS |
Okulovka, XX CH, 1974, RUS |
Langet, XX CH, 1966, RUS |
Obnovka, XX BR, 1963, RUS |
Sapis', RTRK BR, 1984, EST |
Prostor, OX CH, 1973, RUS |
ES , INT CL -E- Sport, OX CH, 1957, RUS |
Prizma (Prisma), OX BR, 1963, RUS |
EM Saponka, RTRK BL, 1971, RUS |
ES Plafon, XX D-BR, 1960, RUS |
Soluschka, RTRK D-BR, 1966, RUS |
|
 | | PHOTOGRAPHIES |  | | |  |  | | SIZE |  | | Height: | unknown | | Breast volume: | unknown | | Wrist: | unknown | |
 | | EXPERTS DESCRIPTIONS
|  | |
|
| Last update was 19.09.2009 |
|