| COPYRIGHTS |
|
Web scripts
''Virtual breed database''
Copyright ©, 2005-2026 Y.Semenov
All rights reserved.
|
| BANNERS |
|


|
|
 |
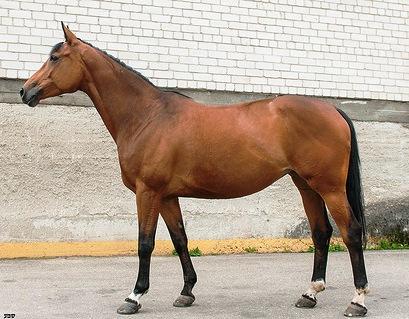
????? ???? / Photo by: Oksana Menschikova |
|
Линия / Семейство: | Ostrjak / Huryska |
 | | РОДОСЛОВНАЯ |  | | Инбридинг: Pilger: VII-VI-VIII-VIII:VI-VIII-VII-VIII-VII-VI-VIII-VI; Pythagoras: VII-VI-VII-VIII-VII-VII:V-VIII; Dampfross: VIII-VIII-VIII-VIII-VIII:VI-VIII-VII; Sportwelt (RUS Fam): VIII:VIII; Hyperion: VIII-VIII-VIII-VIII:VII-VIII-VI; Kupferhammer: VIII-VIII-VIII:VII-VIII; Tempelhüter: VIII-VIII-VIII:VII-VIII-VII-VIII-VII-VIII-VIII; Jagdheld: VIII-VIII:VII; Haselhorst: VIII:VII-VIII; Polarstern: VI:V; Hypothese: VIII-VIII:VIII; Oleander: VI:VII; Homeras ex Hitinas: IV:II; Eifel ex Perkeo (RUS N 62): VII-VII-VII:V-V; Hromogen (Chromogenas): V:III; |  | INT CL -SJ- Etjudas-Eskado, RTRK BR, 1995, LIT |
CH LIT, INT CL -SJ- Vejmaras (Veimaras), RTRK BR, 1987, LIT |
ES , INT CL -SJ- , USSR CH 1986, 1988 Portas ex Pritok, RTRK CH, 1978, LIT |
ES , INT CL -SJ- , OL CH II - 1980, USSR CH Topki, RTRK BL, 1972, RUS |
EM Piramida, RTRK BL, 1960, RUS |
EM Volga, RTRK BR, 1970, LIT |
ES , INT CL -SJ- , USSR CH Etjud, RTRK BL, 1955, RUS |
EM Volschanka, RTRK CH, 1959, RUS |
Erotika, RTRK BR, 1989, LIT |
ES , INT CL -SJ- , USSR CH 1986 Forpost, RTRK D-BR, 1978, LIT |
INT CL -SJ- Faraon, XX BR, 1965, RUS |
EM Pregrada, RTRK BR, 1965, RUS |
EM Elektra, RTRK CH, 1983, LIT |
CH LIT, ES Homeras ex Hitinas, RTRK CH, 1978, LIT |
Ekstra, RTRK BR, 1974, LIT |
Harema, RTRK BR, 1987, LIT |
CH LIT, ES Homeras ex Hitinas, RTRK CH, 1978, LIT |
ES , INT CL -SJ- Privet, RTRK BR, 1963, LIT |
ES Piligrim ex Alpenjäger (RUS N 33), TRK BL, 1943, RUS |
Epocha, RTRK L-BR, 1949, RUS |
EM Chunta, RTRK CH, 1970, LIT |
ES Topol, OX BR, 1958, RUS |
EM Hosjaika, RTRK CH, 1963, RUS |
EM Havana, RTRK BR, 1974, LIT |
CH LIT 1972, ES , INT CL -SJ- Hromogen (Chromogenas), RTRK BR, 1965, RUS |
ES , INT CL -SJ- Hochot, RTRK CH, 1956, RUS |
Emal II, RTRK BR, 1950, RUS |
EM Humoreska, TRK D-BR, 1964, LIT |
Jamajka (Jamaika), E.PRUS D-BR, 1941, POL |
Hurysa, TRK D-BR, 1952, POL |
|
 | | ФОТОГРАФИИ |  | | |  |  | | ПРОМЕРЫ |  | | Рост: | неизв. | | Обхват груди: | неизв. | | Обхват пясти: | неизв. | |
 | | ОПИСАНИЯ ЭКСПЕРТОВ |  | |
|
| Последнее обновление данных 07.03.2010 |
|