| COPYRIGHTS |
|
Web scripts
''Virtual breed database''
Copyright ©, 2005-2026 Y.Semenov
All rights reserved.
|
| BANNERS |
|


|
|
 |
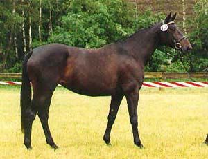
Photo by http://www.gestuet-haemelschenburg.de |
 |
| Отец: |
| SHOWMASTER |
| Мать: |
| VIOLET |
| Дата рождения: |
| 30.12.1998 | | Пол: |
| Кобыла | | No родословной: |
| DEU 309 090197299 | | Порода: |
| Trakehner | | Масть: |
| Караковая | | Заводчик: |
Хозяйство "Hдmelschenburg Stud"
| | Владелец: |
Хозяйство "Hдmelschenburg Stud"
| | Страна: |
| Germany | | Потомков в базе: |
1 жеребцов 1 кобыл 0 меринов |
|
Линия / Семейство: | Dark Ronald / Vera (DEU Fam. 0373) |
 | | РОДОСЛОВНАЯ |  | | Инбридинг: Pasteur (DEU N 0634): V:III; Herold: VII:V-VII; Hirtensang: VIII:VIII; J. Amagun ex Amagun: V:V; Komet: VII-VII:VII-VII; Traumgeist: VII-V:VII; Grimsel: V:IV; Impuls: VIII-VII-VI-V-IV:VII-IV; Kassandra (DEU Fam. T7A1): VIII-VI:VII; Pindar: VII-VIII:VI; Suomar: VII:VII; Pythagoras: VIII-VIII-VIII-VII-VI-VII:VIII; Herbstzeit (DEU Fam.T14O): VIII:VIII-VIII; Ferro: VIII:VIII-VII; Perserfürst (Perserfuerst): VII:VIII; Dampfross: VIII-VIII-VII-VII-VIII:VII; Markeur: VIII:VIII-VIII; |  | INT CL -D- Showmaster, TRK BR, 1990, GER |
CH K DEU 1987, ES , INT CL -D- Kostolany, TRK D-BR, 1984, GER |
ES Enrico Caruso ex Enrico, TRK BL/BR, 1978, USA |
ES Mahagoni, TRK D-BR, 1974, GER |
Elchniederung, TRK D-BR, 1972, GER |
Kapstadt, TRK GR, 1980, GER |
Falke, TRK GR, 1976, USA |
Karben, TRK BR, 1974, GER |
EM Schwalbenburg, TRK BR, 1975, GER |
CH GER x 4, CH K DEU , ES , INT CL -D- Ibikus, TRK BR, 1967, DNK |
INT CL -D- Hertilas, TRK D-BR, 1963, GER |
EM Isolda, TRK CH, 1959, GER |
EM Schwalbenlied, TRK BR, 1968, GER |
ES Impuls, TRK BR, 1953, GER |
Schwarze Schwalbe (DEU Fam. 035A1a), TRK BL, 1963, GER |
GvPrM , PrM Violet, TRK D-BR, 1995, GER |
Honeur, TRK BR, 1980, ITA |
ES , INT CL -D- Leonardo, TRK D-BR, 1976, DNK |
CH USA, INT CL -D- Virgil, TRK BL, 1972, USA |
Liebe III, TRK BR, 1969, GER |
Hantel, TRK CH, 1975, GER |
Grimsel, TRK CH, 1970, DNK |
Heimische, TRK GR, 1970, CAN |
Vicki II, TRK BR, 1974, GER |
Pasteur (DEU N 0634), XX BL/BR, 1963, GER |
Bürgermeister (Buergermeister), XX BR, 1944, GER |
Praline, XX BR, 1954, GER |
Viktoria II, TRK CH, 1966, GER |
ES Impuls, TRK BR, 1953, GER |
Vilja, TRK CH, 1955, GER |
|
 | | ФОТОГРАФИИ |  | | |  |  | | ПРОМЕРЫ |  | | Рост: | 169.0 | | Обхват груди: | неизв. | | Обхват пясти: | неизв. | |
 | | ОПИСАНИЯ ЭКСПЕРТОВ |  | |
|
| Последнее обновление данных 30.01.2009 |
|