| COPYRIGHTS |
|
Web scripts
''Virtual breed database''
Copyright ©, 2005-2026 Y.Semenov
All rights reserved.
|
| BANNERS |
|


|
|
 |
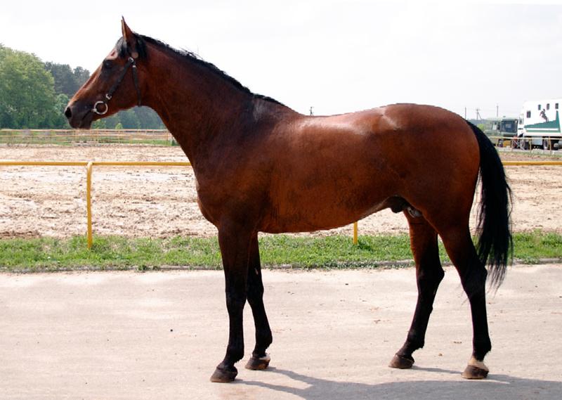
photo by Lesya Tkachenko, UKR |
 |
| Отец: |
| VIST |
| Мать: |
| PLACHA |
| Дата рождения: |
| 28.03.2001 | | Пол: |
| Жеребец | | No родословной: |
| RUS TR VII, p. 293 | | Порода: |
| Rustrakehner | | Масть: |
| Гнедая | | Заводчик: |
Хозяйство "Romenskij (Sula) stud farm"
| | Владелец: |
| Druzhba agriculture cooperative stud farm | | Страна: |
| Ukraine | | Адрес: |
| Poltava region, Kotelevskij district | | Потомков в базе: |
0 жеребцов 0 кобыл 0 меринов |
|
Линия / Семейство: | Ostrjak / Kerenia (RUS Fam. №131) |
 | | РОДОСЛОВНАЯ |  | | Инбридинг: Ostrjak : III:IV; Pilger: V-VII-VIII:VI-VII-VI-VIII-VIII; Pythagoras: V-VII-VI:VI-VIII-VIII-VIII-VIII-VI; Dampfross: VI-VII-VIII-VIII:VII-VIII-VIII-VIII-VII-VII; Ararad: VI-VIII:VII-VII; Termit: V:VI; Hyperion: VI-VII-VIII-VII-VII:VII-VII; Haselhorst: VIII:VIII; Parsival: VII-VII-VIII:VIII-VII-VIII; Almanach I: III:IV; Paradox: VII-VIII:VIII; Astor: VII-VII:VIII; Hrisolit: V-V:IV-VI; |  | INT CL -SJ- Vist, RTRK CH, 1982, UKR |
ES , INT CL -SJ- , OL CH II - 1980, USSR CH Topki, RTRK BL, 1972, RUS |
ES , INT CL -SJ- , USSR CH Ostrjak , RTRK D-BR, 1955, RUS |
ES , INT CL -SJ- , USSR CH Ossian, TRK D-BR, 1937, RUS |
EM Sportfreude, TRK D-BR, 1938, RUS |
EM Tropa, RTRK CH, 1966, RUS |
ES Pomeranets, OX CH, 1952, RUS |
EM Tachta (RUS Fam N 267), RTRK CH, 1947, RUS |
EM Visa, RTRK BR, 1975, RUS |
ES Almanach I, RTRK BR, 1962, RUS |
ES Achmad, TRK D-BR, 1951, RUS |
EM Hrupkaja, RTRK BR, 1956, RUS |
EM Vostrucha, RTRK CH, 1968, RUS |
ES , INT CL -D- Hrip, RTRK CH, 1956, RUS |
Vataga, RTRK CH, 1960, RUS |
Placha, RTRK BR, 1993, UKR |
ES , INT CL -SJ- , USSR CH 1987 - II Herson (Cherson), RTRK D-BR, 1978, RUS |
ES Eol, RTRK D-BR, 1971, RUS |
ES , INT CL -SJ- , USSR CH Ostrjak , RTRK D-BR, 1955, RUS |
Etel'ka, RTRK BL, 1964, RUS |
EM Hasa, RTRK BR, 1957, RUS |
ES Hrisolit, RTRK CH, 1950, RUS |
EM Sapadnja (RUS Fam. N118), RTRK D-BR, 1951, RUS |
Pasta, RTRK D-BR, 1987, UKR |
ES Tarino, TRK BL, 1976, GER |
Elfenspuk, TRK BR, 1972, GER |
Tatarin, TRK BL, 1963, GER |
EM Podkova, RTRK BR, 1974, RUS |
ES Almanach I, RTRK BR, 1962, RUS |
EM Perepjolka, RTRK BR, 1956, RUS |
|
 | | ФОТОГРАФИИ |  | | |  |  | | ПРОМЕРЫ |  | | Рост: | неизв. | | Обхват груди: | неизв. | | Обхват пясти: | неизв. | |
 | | ОПИСАНИЯ ЭКСПЕРТОВ |  | |
|
| Последнее обновление данных 18.09.2012 |
|