| COPYRIGHTS |
|
Web scripts
''Virtual breed database''
Copyright ©, 2005-2026 Y.Semenov
All rights reserved.
|
| BANNERS |
|


|
|
 |
����� ���� / Photo by: |
 |
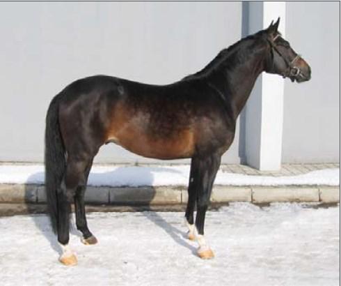
| Sire: |
| PAPUAS |
| Dame: |
| HLOROFILLA |
| Datebirth: |
| 02.01.2002 | | Sex: |
| Stallion | | No pedigree: |
| RUS TR VII, p. 684 | | Breed: |
| Rustrakehner | | Color: |
| Dark braun/Bay | | Breeder: |
Stud farm "Moskovsky horse stud"
| | Owner: |
Stud farm "Moskovsky horse stud"
| | Country: |
| Russia | | Offsprings in base: |
0 stallions 0 mares 0 geldings | | Comments: |
| Tested & licensed by Russian Trakehner Association. 2008: champion of the breed at St. Petersburg horse show Ipposfera. |
|
Bloodline / Tail-family: | Ararad / Samscha (RUS Fam.117) |
 | | PEDIGREE |  | | Inbreeding: Ararad: V-VII-VII:VII; Tempelhüter: VI-VI-VIII-VIII:VIII-VIII-VIII-VIII-VIII; Akcja: V:VI; Polarstern: VI-VI:VII; Paradox: VIII:VIII; Pirol: VI:VIII-VIII; Ostrjak : IV:IV; Pilger: VI:VI-VIII-VII-VIII-VIII-VII-VIII; Pythagoras: VI-VI:VII-VIII-VII-VII-VI-VIII-VIII; Dampfross: VII-VIII:VIII-VIII-VIII; Hirtensang: VII:VII; |  | ES , INT CL -SJ- Papuas, RTRK BL/BR, 1984, RUS |
ES , INT CL -D- Progress, RTRK CH, 1965, LVA |
ES Grzesznik, TRK BL, 1952, RUS |
ES Portius, TRK BR, 1934, POL |
EM Grzesznica, POZN BL/BR, 1943, POL |
EM Persona (RUS Fam. N 198), TRK BL/BR, 1959, RUS |
ES Akcjonariusz, TRK D-BR, 1953, POL |
EM Pirasta, TRK CH, 1951, RUS |
EM Pojma, RTRK BR, 1980, LVA |
ES , INT CL -SJ- , USSR CH Motor, RTRK BR, 1966, RUS |
ES , INT CL -SJ- , USSR CH Ostrjak , RTRK D-BR, 1955, RUS |
EM Mebola, RTRK BR, 1954, RUS |
EM Povest, RTRK D-BR, 1968, RUS |
ES Vimpel (Wympel), RTRK D-CH, 1959, UKR |
EM Prichot', RTRK BR, 1963, RUS |
Hlorofilla, RTRK BR, 1990, RUS |
ES , INT CL -SJ- Ferro, RTRK BR, 1981, RUS |
ES , INT CL -E- , INT CL -SJ- , USSR CH Fokus, RTRK BR, 1963, RUS |
ES , INT CL -E- , INT CL -SJ- , USSR CH 1947 Fidelio, XX BR, 1942, RUS |
EM Ekonomija (RUS Fam N 339), RTRK CH, 1951, RUS |
Eola, RTRK BR, 1977, RUS |
ES , INT CL -SJ- , USSR CH Etjud, RTRK BL, 1955, RUS |
EM Orgija, RTRK BR, 1964, RUS |
Hustka, RTRK D-BR, 1984, RUS |
ES , INT CL -SJ- , OL CH II - 1980, USSR CH Topki, RTRK BL, 1972, RUS |
ES , INT CL -SJ- , USSR CH Ostrjak , RTRK D-BR, 1955, RUS |
EM Tropa, RTRK CH, 1966, RUS |
EM Hatanga, RTRK D-BR, 1972, RUS |
ES Almanach I, RTRK BR, 1962, RUS |
EM Hosjaika, RTRK CH, 1963, RUS |
|
 | | PHOTOGRAPHIES |  |  ����� ���� / Photo by:
| |  |  | | SIZE |  | | Height: | 166.0 | | Breast volume: | 192.0 | | Wrist: | 21.0 | |
 | | EXPERTS DESCRIPTIONS
|  | |
|
| Last update was 12.09.2012 |
|