| COPYRIGHTS |
|
Web scripts
''Virtual breed database''
Copyright ©, 2005-2026 Y.Semenov
All rights reserved.
|
| BANNERS |
|


|
|
 |
archives of horse-rostov.ru |
 |
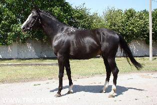
| Отец: |
| GAZAVAT |
| Мать: |
| PUMA |
| Дата рождения: |
| 08.04.1998 | | Пол: |
| Жеребец | | No родословной: |
| RUSTR VI (p.2), 339 | | Порода: |
| Rustrakehner | | Масть: |
| Вороная | | Заводчик: |
Хозяйство "Agro-Mir OOO (Kolos horse stud)"
| | Владелец: |
| ErmAK OOO | | Страна: |
| Russia | | Адрес: |
| Samara region, Krasnojarskij district, p. Kolodinka, Industry ground №1 | | Телефон: |
(846) 993-63-80
(846) 993-63-81
(846) 266-28-09 | | Потомков в базе: |
1 жеребцов 3 кобыл 0 меринов | | Комментарии: |
| Tested in VNIIK; lineage 8; type 9; exterior 8,3; efficiency 8,2. Show-jumping L. |
|
Линия / Семейство: | Massine / Lore (RUS Fam.) |
 | | РОДОСЛОВНАЯ |  | Gazavat, XX BR, 1984, RUS |
ES Gazolin II, XX BR, 1974, RUS |
Anilin, XX BR, 1961, RUS |
Element, XX BR, 1952, RUS |
Analogichnaya, XX CH, 1953, RUS |
Gana, XX D-BR, 1966, RUS |
Balto (Bal'to), XX BR, 1958, RUS |
Grafirovka, XX D-BR, 1959, RUS |
Zelisija, XX BR, 1975, RUS |
ES Zakaznik, XX CH, 1968, RUS |
ES Zadorny, XX BR, 1955, RUS |
Zorjushka, XX BR, 1958, RUS |
Stanitsa, XX BR, 1966, RUS |
Antaeus (Antej), XX CH, 1959, RUS |
Stojka (RUS Fam. №3082), XX BR, 1957, RUS |
Puma, RTRK BR, 1993, RUS |
Peresvon, RTRK D-BR, 1987, RUS |
ES Vipas (Wypas), RTRK BR, 1979, RUS |
ES , EW I-1,III-1 , INT CL -D- , OL CH I-1,II-1 , USSR CH x14, WW I-1 Pepel, RTRK BL, 1956, RUS |
EM Vesjolaja Pora, RTRK CH, 1973, RUS |
Pensija, RTRK CH, 1983, RUS |
ES , INT CL -SJ- Ech-Ma, RTRK CH, 1965, RUS |
EM Pevtschaja, RTRK CH, 1966, RUS |
Monopolija, RTRK BR, 1988, RUS |
ES , INT CL -SJ- Mramor, RTRK BR, 1975, RUS |
ES , INT CL -SJ- , USSR CH Ostrjak , RTRK D-BR, 1955, RUS |
EM Monopolija, RTRK CH, 1966, RUS |
Ptacha, RTRK BR, 1979, RUS |
ES Papirus, RTRK BR, 1968, RUS |
EM Hloja, RTRK BR, 1975, RUS |
|
 | | ФОТОГРАФИИ |  |  Автор фото неизв.
 пїЅпїЅпїЅпїЅпїЅ пїЅпїЅпїЅпїЅ / Photo by:
 пїЅпїЅпїЅпїЅпїЅ пїЅпїЅпїЅпїЅ / Photo by:
| |  |  | | ПРОМЕРЫ |  | | Рост: | 165.0 | | Обхват груди: | 191.0 | | Обхват пясти: | 21.0 | |
 | | ОПИСАНИЯ ЭКСПЕРТОВ |  | |
|
| Последнее обновление данных 04.09.2009 |
|