| COPYRIGHTS |
|
Web scripts
''Virtual breed database''
Copyright ©, 2005-2026 Y.Semenov
All rights reserved.
|
| BANNERS |
|


|
|
 |
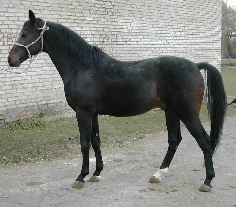
Photo by: Elvira Sumar (Bajgina), BLR |
|
Bloodline / Tail-family: | Hirtensang / Corinna (RUS Fam. N 136) |
 | | PEDIGREE |  | | Inbreeding: Polarstern: VI:VII-VI; Hrisolit: V:V; Pirol: VIII-VIII:VIII-VIII; Karta ex Turia (RUS Fam. №127): V:VI; Pythagoras: VII:VII-VIII-VII-VII-VI-VII; Dampfross: VIII-VIII:VIII-VIII; Ararad: VIII:VII-VIII-VII; Pilger: VII:VI-VIII-VII; Tempelhüter: VIII:VIII-VIII-VIII-VIII; Oleander: VI:VI-VIII; Ekonomija (RUS Fam N 339): IV:IV; |  | ES Sorro (Zorro), RTRK BR, 1990, RUS |
CH RUS , ES , INT CL -SJ- , USSR CH Rafael, RTRK BR, 1969, EST |
ES Arachis II, RTRK BR, 1963, RUS |
ES Achmad, TRK D-BR, 1951, RUS |
EM Hrupkaja, RTRK BR, 1956, RUS |
Reklama, RTRK BR, 1961, RUS |
Registr, XX BR, 1954, RUS |
EM Ekonomija (RUS Fam N 339), RTRK CH, 1951, RUS |
EM Zavjaz' (RUS Fam. xx), XX BR, 1974, RUS |
ES Zakaznik, XX CH, 1968, RUS |
ES Zadorny, XX BR, 1955, RUS |
Zorjushka, XX BR, 1958, RUS |
Zara, XX BR, RUS |
Regency, XX GR, 1959, RUS |
Zenata, XX D-BR, 1960, RUS |
Offa, RTRK BR, 1988, RUS |
ES , INT CL -SJ- Ferro, RTRK BR, 1981, RUS |
ES , INT CL -E- , INT CL -SJ- , USSR CH Fokus, RTRK BR, 1963, RUS |
ES , INT CL -E- , INT CL -SJ- , USSR CH 1947 Fidelio, XX BR, 1942, RUS |
EM Ekonomija (RUS Fam N 339), RTRK CH, 1951, RUS |
Eola, RTRK BR, 1977, RUS |
ES , INT CL -SJ- , USSR CH Etjud, RTRK BL, 1955, RUS |
EM Orgija, RTRK BR, 1964, RUS |
Ochta, RTRK D-BR, 1981, RUS |
ES , INT CL -SJ- Hosjain, RTRK BL, 1973, RUS |
ES , INT CL -SJ- , USSR CH Ostrjak , RTRK D-BR, 1955, RUS |
EM Hlopotun'ja (RUS Fam.N310), RTRK BR, 1957, RUS |
EM Oprava II, RTRK BR, 1972, RUS |
ES Prival, RTRK BR, 1968, RUS |
EM Opera (RUS Fam. №167), RTRK BL, 1964, RUS |
|
 | | PHOTOGRAPHIES |  | | |  |  | | SIZE |  | | Height: | unknown | | Breast volume: | unknown | | Wrist: | unknown | |
 | | EXPERTS DESCRIPTIONS
|  | |
|
| Last update was 02.11.2009 |
|