| COPYRIGHTS |
|
Web scripts
''Virtual breed database''
Copyright ©, 2005-2026 Y.Semenov
All rights reserved.
|
| BANNERS |
|


|
|
 |
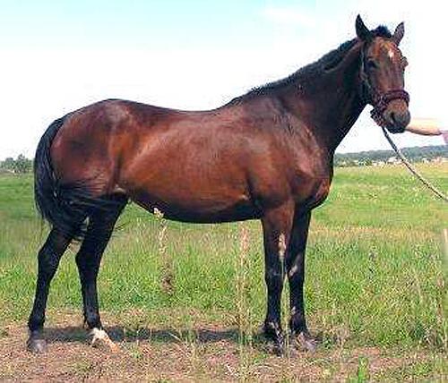
Photo by: private archives, RUS |
|
Bloodline / Tail-family: | Kupferhammer / unknown |
 | | PEDIGREE |  | | Inbreeding: Parsival: VII-VI:VI; Tempelhüter: VIII-VIII-VII-VII:VIII-VIII; Pirat: VIII-VII:VII; Haselhorst: VIII-VIII-VII-VIII:VIII; Gallinule: VIII:VIII; Perfectionist: VIII-VIII-VIII-VIII:VIII; Dampfross: VII-VII-V-VI-VII:VII; Red Prince II: VII-VIII-VIII:VIII; Piligrim ex Alpenjäger (RUS N 33): IV:V; Pythagoras: V-VI:VI; Ararad: VI-VI:VII-VII; |  | Barchat, RTRK BR, 1974, RUS |
ES , INT CL -SJ- Hitin, RTRK CH, 1955, RUS |
ES Hrisolit, RTRK CH, 1950, RUS |
ES Hitrez ex Tropenheld, TRK CH, 1944, RUS |
EM Angara ex Artemis (RUS Fam. N 14), TRK CH, 1944, RUS |
Inna ex Halbwelt, TRK D-CH, 1937, RUS |
Cancara, TRK GR, 1917, GER |
Halma, TRK CH, 1928, GER |
EM Bespridanniza, RTRK BR, 1967, RUS |
ES Pompej, RTRK BL, 1956, RUS |
ES Piligrim ex Alpenjäger (RUS N 33), TRK BL, 1943, RUS |
Plastik, TRK BL, 1942, GER |
Bogema, RTRK CH, 1957, RUS |
ES Brom, XX CH, 1950, RUS |
EM Gondola, RTRK CH, 1951, POL |
Kupava, RTRK D-BR, 1979, RUS |
Pehotinets, OX BR, 1972, RUS |
Mohayed, OX BR, 1965, RUS |
Shahriar ex Nasralla, OX GR, 1956, |
Bint Badr, OX BR, 1957, |
Ptashka, OX BR, 1953, RUS |
ES Priboj, OX CH, 1944, RUS |
Taktika (RASB Fam N 217), OX BR, 1943, RUS |
Kompanija, RTRK D-BR, 1975, |
ES Pastoral, TRK BR, 1960, RUS |
Celsius, TRK CH, 1943, POL |
Pastoral`, RTRK BL/BR, 1951, RUS |
EM Kefal', RTRK BR, 1969, RUS |
ES Ef, XX D-BR, 1963, RUS |
Kreda, TRK BR, 1956, RUS |
|
 | | PHOTOGRAPHIES |  |  ????? ???? / Photo by:
| |  |  | | SIZE |  | | Height: | unknown | | Breast volume: | unknown | | Wrist: | unknown | |
 | | EXPERTS DESCRIPTIONS
|  | |
|
| Last update was 27.03.2010 |
|