| COPYRIGHTS |
|
Web scripts
''Virtual breed database''
Copyright ©, 2005-2026 Y.Semenov
All rights reserved.
|
| BANNERS |
|


|
|
 |
пїЅпїЅпїЅпїЅпїЅ пїЅпїЅпїЅпїЅ / Photo by: |
 |
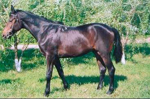
| Отец: |
| KALIBR |
| Мать: |
| ASOLA |
| Дата рождения: |
| 22.04.2003 | | Пол: |
| Жеребец | | № тавро / чип: |
| 3,3 | | Порода: |
| Rustrakehner | | Масть: |
| Dark braun/Bay | | Заводчик: |
Хозяйство "Kavkaz stud"
| | Владелец: |
Хозяйство "Kavkaz stud"
| | Страна: |
| Russia | | Потомков в базе: |
0 жеребцов 0 кобыл 0 меринов |
|
Линия / Семейство: | Nasrullah / Istorija (RUS Fam. №084) |
 | | РОДОСЛОВНАЯ |  | | Инбридинг: Hurry On: VIII:VII; Hirtensang: VIII:VIII-VII; Asterus: VIII:VIII; Pythagoras: VIII:V-VI-VII-VIII-VIII; Ararad: VIII-VIII:VI-VII-VI; Paradox: VIII:VIII; Dampfross: VIII:VI-VIII-VIII; Akcja: VIII:VI; |  | Kalibr, TRK CH, 1995, RUS |
Sir Chamberlain, TRK BR, 1990, GER |
Sir Shostakovich, XX BL/BR, 1979, GER |
Rheingold, XX BR, 1969, GER |
Sinful, XX BR, 1961, GER |
Syone, TRK CH, 1975, GER |
Padparadscha, TRK GR, 1967, GER |
Synode, TRK D-BR, 1963, GER |
Kronjuwel II, TRK CH, 1982, GER |
Zauberklang, TRK CH, 1973, USA |
Prince Conde, TRK BL/BR, 1967, GER |
EM Zauberspiel, TRK CH, 1966, GER |
Kassia III, TRK CH, 1978, GER |
Achat, TRK CH, 1967, GER |
Kabale II, TRK BR, 1974, GER |
Asola, RTRK BR, 1998, RUS |
ES , INT CL -SJ- Sapros, RTRK BL, 1980, GER |
ES , EW I-1,III-1 , INT CL -D- , OL CH I-1,II-1 , USSR CH x14, WW I-1 Pepel, RTRK BL, 1956, RUS |
ES Piligrim ex Alpenjäger (RUS N 33), TRK BL, 1943, RUS |
Polyn' (Polin'), TRK BL, 1943, RUS |
EM Saponka, RTRK BL, 1971, RUS |
ES Plafon, XX D-BR, 1960, RUS |
Soluschka, RTRK D-BR, 1966, RUS |
EM Abbatisa, RTRK BR, 1989, RUS |
ES Barchat, RTRK BR, 1983, RUS |
ES , INT CL -SJ- , USSR CH Blesk, RTRK BL, 1976, RUS |
Horpuscha, RTRK BR, 1974, RUS |
Amputazija, RTRK CH, 1977, RUS |
CH RUS , ES , INT CL -E- , USSR CH Paket, RTRK R-L, 1960, RUS |
Arisona, RTRK BL/BR, 1963, RUS |
|
 | | ФОТОГРАФИИ |  | | |  |  | | ПРОМЕРЫ |  | | Рост: | неизв. | | Обхват груди: | неизв. | | Обхват пясти: | неизв. | |
 | | ОПИСАНИЯ ЭКСПЕРТОВ |  | |
|
| Последнее обновление данных 10.03.2012 |
|